






Now that construction is finished, don’t miss your chance to purchase one of the last remaining blocks in the final stage of this popular subdivision
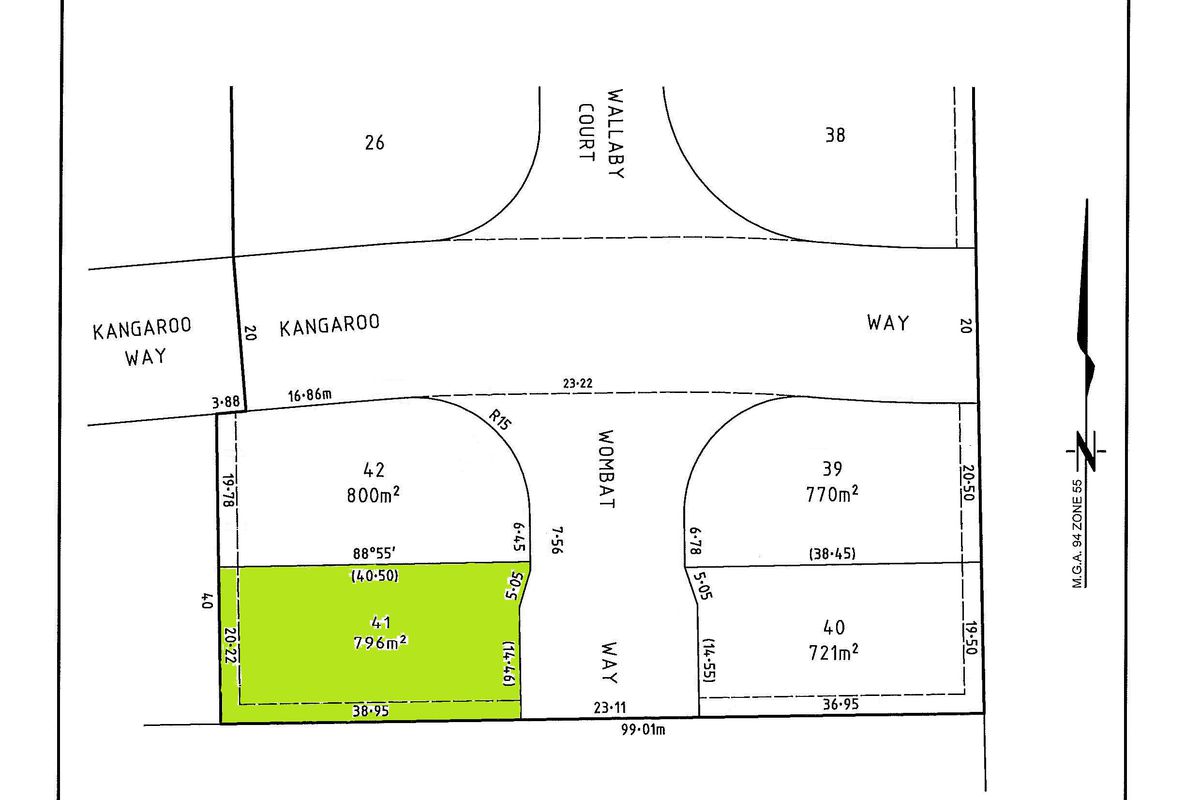
Stage 3 offers an assortment of quietly located blocks amongst a landscaped environment
Lot sizes vary from 721m2 to 901m2 offering versatility to suit any number of buyers
All town services are available and protective covenants help to secure the investment you will make into building your dream home
The established neighbourhood is conveniently located close to local Schools and the Fauna Park
NB: Stamp Duty concessions and Grants area available to 1st home buyers
Subscribe to get the latest insider tips, market updates and access to the hottest deals as they come on the market.